When I was trying to decide what I wanted to write about the experience of diving at the Great Barrier Reef in Australia, I was going to start with talking about how it’s been a dream of mine since I was little, since before I even really understood how scuba diving actually worked.
I probably thought it was some combination of magic/mermaid technology, but the idea to do it was there.
And then I realized how many of my posts from this trip have started with that, and I got to thinking about how lucky I am to have had the experiences I’ve had, not just the ability to travel and see the world, but going to school, moving away from home but still being able to see my family regularly, marrying the person of my choosing.
Just thinking of all of the things that I dreamed of doing when I was a kid, with no reason in the world to think that I couldn’t do exactly what I wanted, if I could find a way to make it happen.
I’ve always known, but it has been reenforced with my recent travels, that a lot of people never have even a tenth of the opportunities I have had, and that lots of children all over the world grow up without the belief that they will be able to one day make all of their dreams come true.
Just something I was thinking about.
So anyways, the GBR. We had been in Cairns for almost two weeks looking for jobs by the time we went diving.
It was quickly becoming apparent that we weren’t going to be getting jobs immediately, we’d been talking to other travelers who had been in Cairns for four months before they were able to find work, and we were toying the the idea of returning to Byron Bay, but the thought of being in Cairns without going diving at the GBR was completely unacceptable to me.
So even though it was very expensive (nearly three times more than what it cost to dive for a day in Indonesia) we decided we had to do it. We’d also heard horrible things about coral depletion and pollution in certain areas of the reef, so we wanted to be sure to pick a dive boat that would take us out to the outer reef.
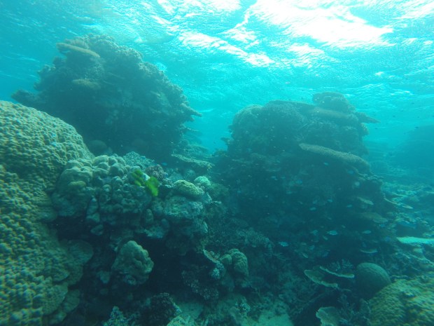
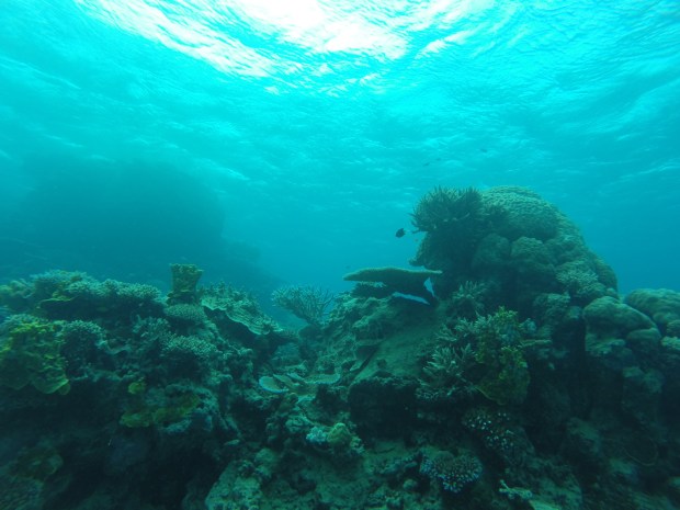
We were not disappointed. We didn’t see nearly as many exotic fish as we had been seeing in Indonesia, but we did see a shark, and the coral was nothing short of amazing. It went on for miles each way, and in certain parts it was almost like skyscrapers on either side of you, but instead of buildings, it was coral.
The pictures aren’t the greatest (but I did see that GoPro now has coloured filters you can add to get the colour to transfer better from underwater) but I wanted to share a few anyway.


















One thought on “scuba diving: the great barrier reef”
Pingback: twenty eight | loveliness.